Listing Tools

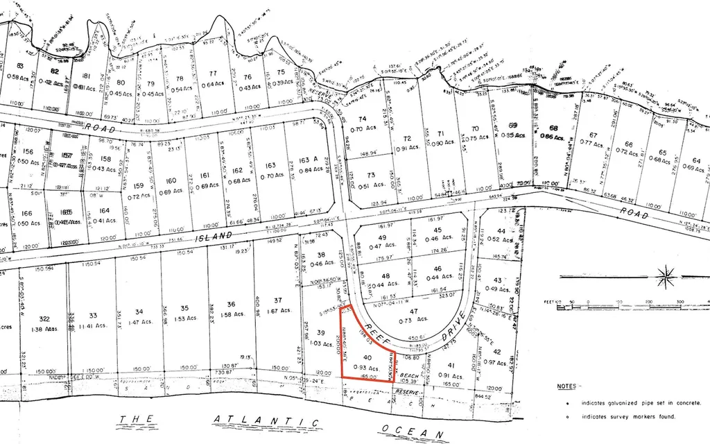
Spanning 0.93 acres on the premier section of the three-mile-long Windermere Beach, Lot 40 Windermere Beach Estates offers an exceptional 165 feet of stunning beach frontage. This pristine, wooded lot is ideally situated at the intersection of Windermere Island Drive and the future Reef Drive, which will soon be developed to enhance the charm of this exclusive location. Windermere Island is a secluded paradise with 24-hour security and is accessible via a private bridge. Residents enjoy exclusive access to the members-only club featuring a sparkling pool, tennis courts, and direct beach access to the serene west beach of Savannah Sound. This perfect setting is ideal for paddle boarding, kayaking, and sailing. Embrace the unparalleled luxury of private island living while still being close to the diverse amenities and fine dining options that Eleuthera offers. With no other properties like this currently on the market, Lot 40 Windermere Beach Estates presents a once-in-a-lifetime opportunity to own a piece of paradise.

Property Details of Windermere Beach Estates

Property Details

Map Location

Courtesy of the MLS

The data relating to real estate for sale/lease on this website comes in part from a cooperative data exchange program of the Bahamas Multiple Listing Service (MLS) in which these Brokers participate (BREA). The properties displayed may not be all of the properties in the Bahamas MLS database, or all of the properties listed with Brokers participating in the cooperative data exchange program. Properties listed by Brokers other than this Broker/Agent are marked with the IDX Symbol, indicating an agreement to exchange property information. Detailed information about such properties are noted as Courtesy of: The Bahamas MLS. Information provided is thought to be reliable but is not guaranteed to be accurate. You are advised to verify facts that are important to you. No warranties, expressed or implied, are provided for the data herein, or for their use or interpretation by the user. This information is protected from unlawful duplication by copyright.

Hi there! How can we help you?

Contact us using the form below or give us a call.

Send Us A Message:

I agree to receive marketing and customer service calls and text messages from Bahamas Realty. To opt out, you can reply 'stop' at any time or click the unsubscribe link in the emails. Consent is not a condition of purchase. Msg/data rates may apply. Msg frequency varies. Privacy Policy.

Do not fill in this field:

This site is protected by reCAPTCHA and the Google Privacy Policy and Terms of Service apply.

Hi there! How can we help you?

Contact us using the form below or give us a call.

Send Us A Message:

Do not fill in this field:

This site is protected by reCAPTCHA and the Google Privacy Policy and Terms of Service apply.

Hi there! How can we help you?

Contact us using the form below or give us a call.

Send Us A Message:

Do not fill in this field:

This site is protected by reCAPTCHA and the Google Privacy Policy and Terms of Service apply.

Do not fill in this field:

This site is protected by reCAPTCHA and the Google Privacy Policy and Terms of Service apply.

Do not fill in this field:

This site is protected by reCAPTCHA and the Google Privacy Policy and Terms of Service apply.

Do not fill in this field:

This site is protected by reCAPTCHA and the Google Privacy Policy and Terms of Service apply.

$

Do not fill in this field:

This site is protected by reCAPTCHA and the Google Privacy Policy and Terms of Service apply.